Terrain à Noertzange – 86683076

Surface: 4.7 m²
681.500
A vendre
Réf: 86683076
Caractéristiques
Property size icon Surface: 4.7 m²
Property accommodation icon Disponibilité: Libre
Description

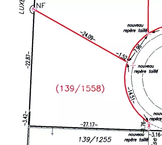
FARE S.A. vous propose à la vente un terrain constructible situé dans la commune de Bettembourg, section E de Noertzange, inscrit au cadastre sous le numéro 139/1558, d’une contenance de 4 ares 70 centiares (470 m²).

Conformément au plan de mesurage, la parcelle est délimitée par les côtés suivants :
Côté Nord (façade voirie) : ± 14,51 m
Côté Est : ± 27,17 m
Côté Sud : ± 3,42 m + ± 22,87 m
Côté Ouest : ± 24,09 m + ± 7,96 m + ± 1,76 m + ± 1,52 m

Ces dimensions offrent une configuration équilibrée ainsi qu’une façade sur voirie, permettant la réalisation d’un projet de construction résidentielle en zone HAB-1, sous réserve des prescriptions urbanistiques en vigueur (PAG / PAP applicables de la commune de Bettembourg).

Le terrain est libre de constructeur et bénéficie d’un environnement résidentiel recherché, à proximité immédiate des commodités, de la gare, des écoles et crèches, ainsi que des principaux axes de communication.

📍 Localisation : Noertzange, commune de Bettembourg
📐 Superficie : 4a70ca (470 m²)
📄 Référence cadastrale : Section E – n° 139/1558
🏗️ Zone urbanistique : HAB-1

annonce non contractuelle – non-contractual advertisement – nicht-vertragliche Werbung

Localité
Adresse: Noertzange, Luxembourg
Pays: LU
You don't have permission to register
Demander une visite
Fare
Résumé de la politique de confidentialité

Ce site utilise des cookies afin que nous puissions vous fournir la meilleure expérience utilisateur possible. Les informations sur les cookies sont stockées dans votre navigateur et remplissent des fonctions telles que vous reconnaître lorsque vous revenez sur notre site Web et aider notre équipe à comprendre les sections du site que vous trouvez les plus intéressantes et utiles.